Comunidad científica se debate por posible cambio de nombre del "Escarabajo Hitler"
Comunidad científica se debate entre cambiar el nombre del "escarabajo Hitler" o no, modificación podría confundir a investigadores.
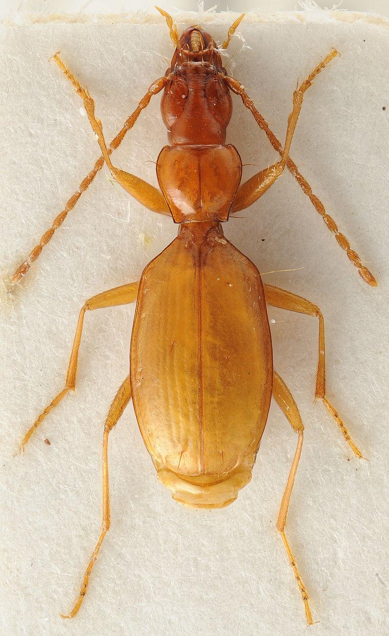
De color marrón, sin ojos, y procedente de las cuevas de Eslovenia. Características propias que parecen muy distintas al nombre que tiene. Se trata del "escarabajo Hitler". Sí, tal como usted lo lee, un insecto que el mismo nombre que el dictador nazi que asesinó y mató a millones de personas, provocando uno de los genocidios más grandes de la historia.
El nombre fue acuñado en 1937 por el entomólogo aficionado Oskar Scheibel, quien era un acérrimo admirador de Adolf Hitler. Para darle una connotación científica, lo llamó Anophthalmus hitleri. Mejor quedemos como "escarabajo Hitler". La primera parte significa "sin ojos" en griego, la segunda... bueno, creemos que nos entendemos.
"Escarabajo Hitler" divide a la comunidad científica
Particular nombre para este pobre insecto que no tiene la culpa de ser llamado así. El tema es que ahora la situación preocupa a los científicos, quienes se han dado cuenta que grupos neonazis, que viven de la nostalgia del Tercer Reich, están dispuestos a pagar grandes sumas de dinero por ejemplares de este escarabajo. Esta tendencia ha provocado que el coleóptero esté al borde de la extinción.
Por otra parte, está la opinión de investigadores que definen a este nombre como un homenaje a racistas y colonizadores, considerando que son ofensivos. De hecho, hacen un llamado a que debería modificarse este nombre, donde sociedades científicas han tomado medidas en ese sentido.
La situación no está exenta de polémica. Según informó Science, la Comisión Internacional de Nomenclatura Zoológica (ICZN), organismo encargado de regular los nombres científicos de los animales, manifestó en enero su decisión de no cambiar los nombres que los científicos e investigadores consideran ofensivos.
Según Luis Ceríaco, Comisario de la ICZN, y biólogo de la Universidad de Oporto, el cambio de estos nombres podría representar una confusión en la comunidad científica, generaron un gran debate.
Pero el A. hitleri es una caso especial, no solo por el nombre que representa, sino porque está al borde de la extinción según el medio estadounidense, el Washington Post. Muchos taxónomos se han opuesto a utilizar una nomenclatura vinculada al principal responsable del Holocausto.
Esto porque el infame nombre han provocado un preocupante desarrollo del comercio ilegal de este este "bichito". Ojo, que la situación viene de mucho antes, estamos hablando del 2006, cuando The Independent, reveló que extremistas neonazis se dirigían a cuevas eslovenas donde se encuentra el "escarabajo Hitler" para capturar los ejemplares, y luego venderlos en el comercio ilegal a unos 1.400 dólares cada uno.
La situación ha llegado a una gravedad tal que la Colección Estatal de Zoología de Baviera ha sufrido robos de ejemplares de este insecto. En 2022, un antropólogo canadiense escribió en The Economist "Es un insecto inocente (...) ¿Por qué no acabar con este comercio ilegal cambiándole el nombre?".
Hoy la comunidad científica se debate entre mantener el infame nombre que podría termina con la existencia de este insecto, o cambiarlo considerando que muchos investigadores podrían confundirse.
Pero no solo el "escarabajo Hitler" está en la lupa de los investigadores por su nombre. Otras especies como Hypnopta musolinii, una mariposa oriunda de Libia, lleva el nombre de líder fascista Benito Mussolini. Otra es la Hibbertia, un género de plantas que tiene el nombre del inglés George Hibbert, un personaje muy conocido por apoyar la esclavitud y por ser propietario de plantaciones.
Para más datos, panoramas e historias, ingresa aquí.


